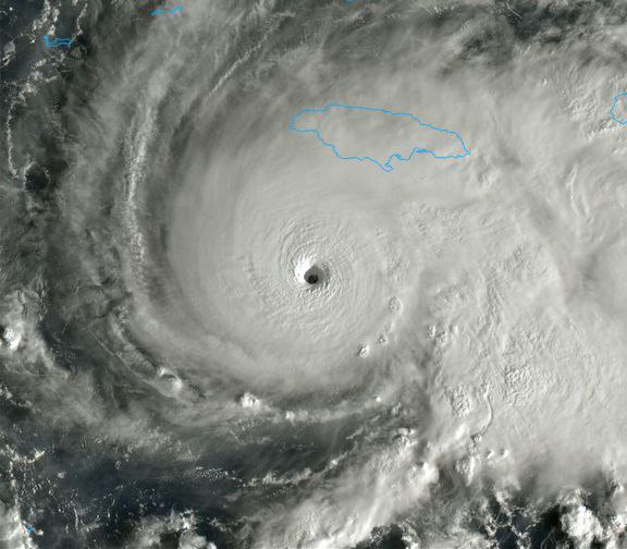
Экипаж МКС запечатлел ураган "Мелисса" высшей категории (5 из 5) с идеально сформированным "глазом бури"
На кадрах с орбиты видно, как мощный атмосферный вихрь приближается к Ямайке. Через сутки там ожидается разрушительный ветер и масштабное наводнение. Скорость ветра в эпицентре достигает 257 км/ч (72 м/с). На острове идёт активная подготовка к удару стихии.











































